Oluja je spuštena na treću kategoriju, ali na snazi ostaje crveno upozorenje za neke zajednice u unutrašnjosti.
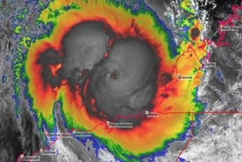
Teški tropski ciklon Ilsa pogodio je državu u blizini Port Hedlanda, najvećeg svjetskog izvoznog čvorišta željezne rude, nešto prije ponoći.
Ciklon je najjači koji je pogodio regiju u posljednjih 14 godina. Gradonačelnik Port Hedlanda Peter Carter opisao je zvuk vjetra koji udara u grad kao "veoma jeziv i neobičan" i "poput teretnog voza".
"Do sada nije bilo izvještaja o povrijeđenim ljudima i sva kritična infrastruktura je neoštećena ciklonom", rekao je regionalni vatrogasni šef.
"Kada budemo mogli da spustimo posade na zemlju i helikoptere u zrak kretaćemo se duž obale samo da provjerimo puteve i drugu kritičnu infrastrukturu", rekao je Peter Sutton.
Vjetrovi od 218 km/h zabilježeni su na ostrvu Bedout nedaleko od obale dok se oluja spuštala, postavljajući preliminarni desetominutni rekord vjetra za Australiju.
Zavod za meteorologiju (BOM) navodi kako će oluja dodatno oslabiti tokom noći u subotu.
Kako se ciklon približavao, stanovnici Port Hedlanda su se u posljednjem trenutku pripremali tako što su hvatali vreće pijeska i osiguravali kuće i poslovne objekte, rekao je reporter Kanala Nine Ezra Holt za BBC iz grada.
Brodovi, uključujući transportere željezne rude, navodno su premješteni iz luke Port Hedland kako se oluja približavala.










