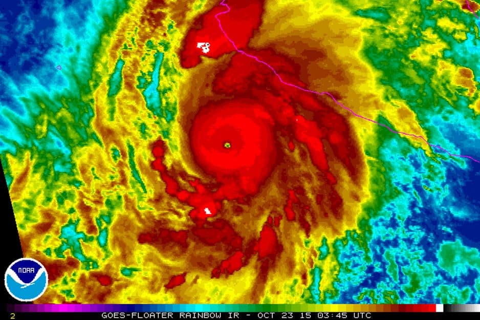
Vjetrovi koje Patricia uzrokuje dosežu brzinu od 320 kilometara na sat, a vrtlog se kreće prema pacifičkoj obali Meksika do koje će stići u petak poslijepodne.
Meteorolozi strahuju da će uragan uništiti turističke destinacije i mjesta između Puerto Vallarta i Manzanilloa, što predstavlja raspon od oko 200 kilometara. Sama Patricia mogla bi oslabiti prije nego što dođe do kopna, ali će i dalje ostati u tzv. uraganskoj kategoriji 5.
Ona će najvjerovatnije uzrokovati obilne kiše, poplave te brze kopnene vjetrove. Njen utjecaj će se osjećati širom Meksika, pa čak i do američke države Teksas.
Nacionalni centar za uragane ocijenio je Patriciju kao "potencijalno katastrofalan događaj", a samo prije 24 sata uragan je bio klasifikovan u kategoriji 4 uz brzinu vjetra od 240 kilometara na sat. Brzinu razvoja uragana oslikava i činjenica da je 24 sata prije toga Patricija zapravo bila "samo" tropska oluja.
Brza evolucija uragana objašnjava se posljedicama globalnog zatopljenja, uz dodatno gorivo koje stvara atmosfersko-okeanski fenomen poznat kao El Nino.




klix.ba










