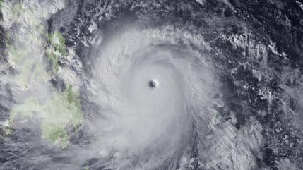
NASA-in astronaut Reid Wiseman objavio je fotografiju najveće ovogodišnje oluje na Zemlji. Tajfun Vongfong kreće se prema Japanu, a strahuje se da bi mogao biti jak kao i tajfun Haiyan koji je prošle godine usmrtio više od 8000 ljudi na Filipinima, podsjeća RT.
Procjenjuje se da će tajfun u narednim danima jačati, te da će vjetrovi dostići brzinu od 260 km/h. Do sada je uzrokovao manje štete, ali stručnjaci predviđaju da mogao ugroziti japansko ostrvo Okinavu ovoga vikenda.
"Normalno, tajfuni su najjači kada su u tropima. Oni počinju postupno da slabe dok se kreću prema suptropskoj regiji i umjerenoj zoni", komentarisali su iz japanske meteorološke agencije.
foto: index.hr











